Bündnis 90/Die Grünen

im Landkreis Ebersberg

07.10.2010 Vaterstetten - aus dem Gemeinderat

Planung für neues Krippenhaus - Standortentscheidung

07.10.2010 –

Herausragender Beratungsgegenstand der gut besuchten Gemeinderatssitzung am 7. Oktober war der Beschluss über die Aufstellung eines Bebauungsplanes samt Änderung Flächennutzungsplan für ein neues Krippenhaus der Gemeinde. Zur Erinnerung: ursprünglich war vorgesehen das Krippenhaus auf einem Teil des sog. Bayerlein-Grundstücks an der Ecke Schwalben- und Fasanenstraße zu errichten. In Abstimmung mit der Familie Bayerlein wird es jedoch möglich, diese Fläche zu Gunsten des Gemeindehaushalts zu verkaufen und mit dem Erlös den Großteil der Investition für das Krippenhaus auf einer anderen gemeindeeigenen Fläche zu realisieren.

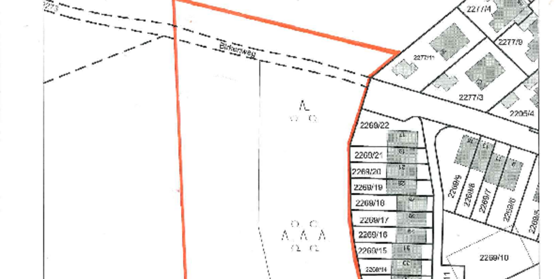
Der Arbeitskreis Gemeindeentwicklungsprogramm (AK GEP) hatte sich nun mit der Standortfrage beschäftigt. Im Raum stand ein Standort an der Dorfstraße gegenüber dem Wertstoffhof - dieser Standort wird von unserer Fraktion favorisiert - und ein Standort westlich des Feldgehölzes zwischen Eulen- und Birkenweg. Der zuletzt genannte Standort wurde nun entsprechend der gegen die Stimmen der GRÜNEN gefassten Empfehlungen des AK GEP und des Bauausschusses in das notwendige Bauleitplanverfahren gegeben.Aus unserer Sicht ist das bedauerlich. Leider konnten die von Günter Glier überzeugend vorgetragenen Argumente weder die CSU- noch die SPD-Gemeinderäte bewegen, von Herrn Will/FDP  ganz zu schweigen:

-  Nur der Standort an der Dorfstraße ist ortsplanerisch integriert. Der jetzt von der Mehrheit beschlossene Standort liegt völlig frei in der offenen Landschaft und weist keinerlei Anbindung an  bestehende Siedlungsflächen auf.

-  Die verkehrliche Erschließung über die Birkenstraße ist mehr als problematisch. Man muss davon ausgehen, dass die überwiegende Zahl der zumeist berufstätigen Eltern ihre Kleinkinder mit dem PKW bringen und abholen wird. Eine verkehrliche Anbindung über die Dorfstraße wäre hingegen sehr gut darstellbar. Für Fahrrad- und Fußgängerverkehr haben wir in der Sitzung eine sehr gute Erschließung "hinten herum" aufgezeigt.

-  Zwar wurde vom Bürgermeister noch zur Sitzung als Tischvorlage eiligst eine Ergänzung des Beschlussvorschlags nachgeschoben, in der beteuert wurde "Grundlage der Planung ist ferner, dass das bestehende Wäldchen im östlichen Teil des Grundstücks erhalten werden muss." Die Einschränkung folgte jedoch auf dem Fuße: "Es kann jedoch zumindest teilweise in die Außenflächengestaltung des geplanten Krippenhauses integriert" werden. Es liegt auf der Hand, dass damit die ökologische Wertigkeit des schönen Feldgehölzes als Rückzugs- und Nistraum für Vögel und Lebensraum für Flora und Fauna stark beeinträchtigt wird. Sensibilität für solche Belange kann man allerdings bei vielen Gemeinderäten nach unserer Erfahrung leider nicht erwarten.

- Das neue Krippengebäude auf dem nun beschlossenen Standort soll eine Nord-Süd-Ausrichtung erhalten. Die Nutzung der Sonne für Solarthermie und Photovoltaik wird damit sehr erschwert. Unser Vorschlag hätte eine energetisch ideale Firstrichtung Ost-West ermöglicht. Auch dieser Aspekt hat kein Interesse geweckt. Man fragt sich manchmal, ob der Wunsch nach einer Energiewende über Lippenbekenntnisse hinausgeht!


Dem unbefangenen Beobachter der Sitzung musste sich der Eindruck aufdrängen, dass die wahren Gründe für die Mehrheitsentscheidung nicht offen gelegt wurden. Man darf gespannt sein, welche Ergebnisse der AK GEP in den nächsten Wochen und Monaten zutage fördert.

Einstweilen bleibt festzustellen, dass ein merkwürdige Standortentscheidung gegen die Stimmen von Günter Glier und Robert Winkler (Kollege Weingärtner war als erkrankt entschuldigt), Herrn Schmidt/FBU und Herrn Bienheim/FW/BI gefällt wurde.

Bemerkenswert war noch die Erklärung zur Abstimmung von Herrn Kollegen Bienheim: Er wolle ausdrücklich festhalten, dass er nicht gegen den Standort sei, er habe lediglich wegen des seines Erachtens zu großen Umgriffs abgelehnt.


Robert Winkler

Fraktionssprecher Bündnis 90 / die Grünen

Diese Website ist gemacht mit TYPO3 GRÜNE, einem kostenlosen TYPO3-Template für alle Gliederungen von BÜNDNIS 90/DIE GRÜNEN
TYPO3 und sein Logo sind Marken der TYPO3 Association.